Airports for X-Plane offers a convenient way to explore airports and their related communication information for the X-Plane flight simulator. It only uses data from the X-Plane flight simulator itself, and is therefore more reliable than the data that comes from real aviation websites. You can search for airports by using the ICAO code, or browse for airports per country and state. The information displayed is categorized by airport details, runway information, airport communication, approach frequencies (ILS and Glidepath details), details of nearby beacons, SIDs, STARs and approach procedures.

downtown railway station airdock taxiway aircraft carrier landing area airborne embassy runway lighting luggage stopover train station airbase stolport hangar government airfield airplane air safety airport authority

Oklahoma City - Will Rogers World

Airport details

CountryUnited States of America
StateOklahoma
RegionK4
AirspaceFt Worth Ctr
MunicipalityOklahoma City
Elevation1291ft (393m)
TimezoneGMT -6
Coordinates35.41016, -97.58549
Magnetic var
Typeland
Available sinceX-Plane v10.40
ICAO codeKOKC
IATA codeOKC
FAA codeOKC

Communication

Will Rogers World ATIS125.850
Will Rogers World Clearance DEL124.350
Will Rogers World Ground Control121.900
Will Rogers World ROGERS Tower119.350
Will Rogers World ROGERS Tower120.250
Will Rogers World OKE CITY Approach/Departure120.450
Will Rogers World OKE CITY Approach/Departure124.600
Will Rogers World OKE CITY Approach/Departure124.200

Approach frequencies

ILS-cat-IIRW35R110.918.00mi
ILS-cat-IRW17L110.918.00mi
ILS-cat-IRW35L110.718.00mi
ILS-cat-IRW17R110.718.00mi
3° GSRW17L110.918.00mi
3° GSRW35L110.718.00mi
3° GSRW17R110.718.00mi
2.9° GSRW35R110.918.00mi
Nearby Points of Interest:
Oklahoma County Courthouse
-
Hightower Building
-
First National Center
-
Elks Lodge Building
-
United States Post Office, Courthouse, and Federal Office Building
-
Braniff Building
-
First Christian Church
-
The Heritage
-
Oklahoma Publishing Company Building
-
St. Paul's Cathedral
-
Pilgrim Congregational Church
-
Elks Victory Lodge-Ruby's Grill Building
-
Automobile Alley
-
First Church of Christ, Scientist
-
Cain's Coffee Building
-
The Classen
-
Gold Dome
-
Milk Bottle Grocery
-
Paseo Arts District
-
Harding Charter Preparatory High School
-
Meloy House
-
Founders Tower
-
Donald Pollock House
-
Czech Hall
-
Yukon Public Library

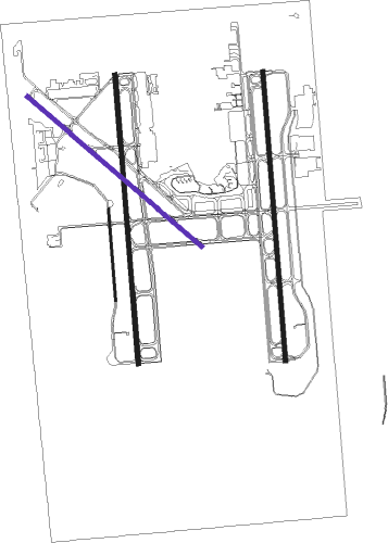
Runway info

Runway 17L / 35R  
 length2996m (9829ft)
 bearing180° / 360°
 width46m (150ft)
 surfaceconcrete
 blast zone62m (203ft) / 59m (194ft)
Runway 17R / 35L  
 length2996m (9829ft)
 bearing180° / 360°
 width46m (150ft)
 surfaceconcrete
 blast zone75m (246ft) / 75m (246ft)
Runway 18 / 36  
 length944m (3097ft)
 bearing180° / 360°
 width23m (75ft)
 surfaceasphalt
Runway 13 / 31
 length2378m (7802ft)
 bearing129° / 309°
 width46m (151ft)
 surfaceasphalt
 blast zone63m (207ft) / 62m (203ft)

Nearby beacons

codeidentifierdistbearingfrequency
IRWWILL ROGERS (OKLAHOMA CIT VORTAC3.3205°114.10
RGGALLY (OKLAHOMA CITY) NDB6.9182°350
PWAWILEY POST (OKLAHOMA CITY VOR/DME7.9333°113.40
TIKTINKER (OKLAHOMA CITY) TACAN10.183°115.80
IFIKINGFISHER VORTAC31.3313°114.70
SRESEMINOLE NDB45.399°278
EIGARFY (ENID) NDB52.8347°341
SWOSTILLWATER VOR/DME54.732°108.40
SWBLAKI (STILLWATER) NDB55.231°255
ENDVANCE (ENID) VORTAC58.4340°115.40
ODGWOODRING (ENID) VOR/DME58.7348°109
LAWLAWTON VOR/DME68.3222°109.40

Departure and arrival routes

Transition altitude18000ft
Transition level18000ft
SID end pointsdistanceoutbound heading
RW13
 WENDY344mi11°
 TRUPR358mi64°
 FUNNL374mi88°
 RDHWK360mi110°
 TEBRD373mi126°
 KRMSN467mi136°
 MUDDE375mi161°
 THRPE330mi207°
 OLGUY378mi269°
 STPHN377mi276°
 SSYKO335mi350°
RW17 (ALL)
 WENDY344mi11°
 TRUPR358mi64°
 FUNNL374mi88°
 RDHWK360mi110°
 TEBRD373mi126°
 KRMSN467mi136°
 MUDDE375mi161°
 THRPE330mi207°
 OLGUY378mi269°
 STPHN377mi276°
 SSYKO335mi350°
RW18
 WENDY344mi11°
 TRUPR358mi64°
 FUNNL374mi88°
 RDHWK360mi110°
 TEBRD373mi126°
 KRMSN467mi136°
 MUDDE375mi161°
 THRPE330mi207°
 OLGUY378mi269°
 STPHN377mi276°
 SSYKO335mi350°
RW31
 WENDY344mi11°
 TRUPR358mi64°
 FUNNL374mi88°
 RDHWK360mi110°
 TEBRD373mi126°
 KRMSN467mi136°
 MUDDE375mi161°
 THRPE330mi207°
 OLGUY378mi269°
 STPHN377mi276°
 SSYKO335mi350°
RW35 (ALL)
 WENDY344mi11°
 TRUPR358mi64°
 FUNNL374mi88°
 RDHWK360mi110°
 TEBRD373mi126°
 KRMSN467mi136°
 MUDDE375mi161°
 THRPE330mi207°
 OLGUY378mi269°
 STPHN377mi276°
 SSYKO335mi350°
RW36
 WENDY344mi11°
 TRUPR358mi64°
 FUNNL374mi88°
 RDHWK360mi110°
 TEBRD373mi126°
 KRMSN467mi136°
 MUDDE375mi161°
 THRPE330mi207°
 OLGUY378mi269°
 STPHN377mi276°
 SSYKO335mi350°

STAR starting pointsdistanceinbound heading
RW13
 CAMET322.2113°
 GULLI242.0216°
RW17 (ALL)
 YUCKS322.844°
 GHOST322.371°
 CAMET322.2113°
 GULLI242.0216°
 RIFFL327.9285°
 TSDEL320.9340°
RW17L
 MURAH329.2211°
RW17R
 MURAH329.2211°
RW18
 GULLI242.0216°
RW31
 GULLI242.0216°
RW35 (ALL)
 GHOST322.371°
 CAMET322.2113°
 MURAH329.2211°
 GULLI242.0216°
 RIFFL327.9285°
RW35L
 YUCKS322.844°
 TSDEL320.9340°
RW35R
 YUCKS322.844°
 TSDEL320.9340°
RW36
 GULLI242.0216°

Instrument approach procedures

runwayairway (heading)route (dist, bearing)
RW13DAWKS (113°)DAWKS
WABUT (13mi, 106°) 4000ft
RW13IFI (133°)IFI
YUVCI (19mi, 140°) 4000ft
WABUT (3mi, 129°) 4000ft
RW13LERME (107°)LERME
WABUT (5mi, 82°) 4000ft
RW13TERSE (143°)TERSE
WABUT (5mi, 192°) 4000ft
 RNAVWABUT 4000ft
ELUCK (5mi, 129°) 2600ft
FITSO (3mi, 129°) 1760ft
KOKC (3mi, 102°) 1331ft
(5776mi, 110°) 1700ft
JESKE (5789mi, 290°) 3000ft
JESKE (turn)
RW17LYDAWKS (113°)DAWKS
BEERY (15mi, 84°) 4000ft
GOLFS (6mi, 118°) 4000ft
RW17LYIFI (133°)IFI
ATREC (23mi, 114°) 5000ft
GOLFS (4mi, 180°) 4000ft
 RNAVGOLFS 4000ft
HANGS (4mi, 180°) 3000ft
RURIQ (4mi, 180°) 1740ft
KOKC (turn) 1346ft
(5776mi, 110°) 1487ft
JAVXE (5777mi, 290°) 5000ft
JAVXE (turn)
RW17LZATREC (179°)ATREC 5000ft
GOLFS (4mi, 180°) 4000ft
SIWHU (4mi, 180°) 3000ft
SCORY (2mi, 180°) 2300ft
RW17LZFLAPP (126°)FLAPP 5000ft
MERTE (5mi, 90°) 4000ft
JINTA (turn) 4000ft
DONMO (2mi, 105°) 3500ft
SIWHU (2mi, 149°) 3000ft
SCORY (2mi, 180°) 2300ft
RW17LZHIPES (240°)HIPES 5000ft
WUVMA (5mi, 270°) 3500ft
HAMDO (2mi, 253°) 3000ft
SCORY (2mi, 210°) 2300ft
RW17LZPALMR (283°)PALMR 6000ft
ISAKE (4mi, 360°) 4700ft
WUVMA (4mi, 309°) 3500ft
HAMDO (2mi, 253°) 3000ft
SCORY (2mi, 210°) 2300ft
RW17LZWWILL (103°)WWILL 6000ft
ADWOW (3mi, 360°) 5000ft
MERTE (4mi, 51°) 4000ft
JINTA (turn) 4000ft
DONMO (2mi, 105°) 3500ft
SIWHU (2mi, 149°) 3000ft
SCORY (2mi, 180°) 2300ft
 RNAVSCORY 2300ft
KOKC (3mi, 176°) 1346ft
JAVXE (15mi, 181°) 5000ft
JAVXE (turn)
RW17RYIFI (133°)IFI
FILUM (22mi, 115°) 5000ft
ROHAA (4mi, 180°) 4000ft
 RNAVROHAA 4000ft
IVEYI (4mi, 180°) 3000ft
COTOX (4mi, 180°) 1800ft
KOKC (2mi, 136°) 1337ft
(5776mi, 110°) 2000ft
JESKE (5789mi, 290°) 3000ft
JESKE (turn)
RW17RZFILUM (174°)FILUM 5000ft
ROHAA (4mi, 180°) 4000ft
HARER (4mi, 180°) 3000ft
JILDI (2mi, 180°) 2300ft
RW17RZFLAPP (126°)FLAPP 5000ft
MERTE (5mi, 90°) 4000ft
MABCU (2mi, 110°) 3500ft
HARER (2mi, 155°) 3000ft
JILDI (2mi, 180°) 2300ft
RW17RZHIPES (240°)HIPES 5000ft
WUVMA (5mi, 270°) 3500ft
PROSS (turn) 3300ft
COLWE (2mi, 254°) 2900ft
JILDI (2mi, 211°) 2300ft
RW17RZPALMR (283°)PALMR 6000ft
ISAKE (4mi, 360°) 4700ft
WUVMA (4mi, 309°) 3500ft
PROSS (turn) 3300ft
COLWE (2mi, 254°) 2900ft
JILDI (2mi, 211°) 2300ft
RW17RZWWILL (103°)WWILL 6000ft
ADWOW (3mi, 360°) 5000ft
MERTE (4mi, 51°) 4000ft
MABCU (2mi, 110°) 3500ft
HARER (2mi, 155°) 3000ft
JILDI (2mi, 180°) 2300ft
 RNAVJILDI 2300ft
KOKC (3mi, 156°) 1337ft
(5776mi, 110°) 2000ft
JESKE (5789mi, 290°) 3000ft
JESKE (turn)
RW31BURSH (315°)BURSH 3200ft
 RNAVBURSH 3200ft
PGLSI (7mi, 309°) 2900ft
KOKC (6mi, 323°) 1338ft
(5776mi, 110°) 1680ft
YUVCI (5785mi, 290°) 3600ft
YUVCI (turn)
RW35LYIRW (25°)IRW
CUBTU (12mi, 179°) 5000ft
CUBTU (turn) 5000ft
 RNAVCUBTU 5000ft
NUTRE (4mi, 360°) 4000ft
BRIGE (4mi, 360°) 3000ft
ZOPRO (4mi, 360°) 1740ft
KOKC (3mi, 20°) 1312ft
(5776mi, 110°) 2000ft
JESKE (5789mi, 290°) 5000ft
JESKE (turn)
RW35LZCUBTU (5°)CUBTU 5000ft
NUTRE (4mi, 360°) 4000ft
BRIGE (4mi, 360°) 3000ft
MIKEC (2mi, 360°) 2300ft
RW35LZFINYA (319°)FINYA 4000ft
DUBBE (3mi, 270°) 3500ft
ARATE (turn) 3500ft
ENZUL (2mi, 292°) 2700ft
MIKEC (2mi, 338°) 2300ft
RW35LZHUDEL (343°)HUDEL 4000ft
ENZUL (5mi, 317°) 2700ft
MIKEC (2mi, 338°) 2300ft
RW35LZIMAGE (269°)IMAGE 6000ft
HALTO (5mi, 180°) 4700ft
SKIMP (2mi, 214°) 4000ft
DUBBE (1mi, 257°) 3500ft
ARATE (turn) 3500ft
ENZUL (2mi, 292°) 2700ft
MIKEC (2mi, 338°) 2300ft
RW35LZLEVEE (47°)LEVEE 4000ft
CASVA (3mi, 90°) 3500ft
MIKEC (4mi, 51°) 2300ft
RW35LZQWAKE (90°)QWAKE 6000ft
NICOM (5mi, 180°) 4500ft
CASVA (4mi, 129°) 3500ft
MIKEC (4mi, 51°) 2300ft
 RNAVMIKEC 2300ft
KOKC (5mi, 14°) 1312ft
(5776mi, 110°) 2000ft
JESKE (5789mi, 290°) 3000ft
JESKE (turn)
RW35RYIRW (25°)IRW
JAVXE (12mi, 174°) 5000ft
JAVXE (turn) 5000ft
 RNAVJAVXE 5000ft
CROPE (4mi, 360°) 4000ft
CARES (4mi, 360°) 3000ft
WOROV (4mi, 360°) 1780ft
KOKC (3mi, 4°) 1339ft
(5776mi, 110°) 1494ft
ATREC (5775mi, 290°) 5000ft
ATREC (turn)
RW35RZFINYA (319°)FINYA 4000ft
DUBBE (3mi, 270°) 3500ft
JEMEX (3mi, 295°) 2700ft
CARLY (1mi, 342°) 2300ft
RW35RZHUDEL (343°)HUDEL 4000ft
JEMEX (5mi, 325°) 2700ft
CARLY (1mi, 342°) 2300ft
RW35RZIMAGE (269°)IMAGE 6000ft
HALTO (5mi, 180°) 4700ft
SKIMP (2mi, 214°) 4000ft
DUBBE (1mi, 257°) 3500ft
JEMEX (3mi, 295°) 2700ft
CARLY (1mi, 342°) 2300ft
RW35RZJAVXE (1°)JAVXE 5000ft
CROPE (4mi, 360°) 4000ft
CARES (4mi, 360°) 3000ft
CARLY (2mi, 360°) 2300ft
RW35RZLEVEE (47°)LEVEE 4000ft
CASVA (3mi, 90°) 3500ft
BENKE (turn) 3400ft
CARLY (4mi, 51°) 2300ft
RW35RZQWAKE (90°)QWAKE 6000ft
NICOM (5mi, 180°) 4500ft
CASVA (4mi, 129°) 3500ft
BENKE (turn) 3400ft
CARLY (4mi, 51°) 2300ft
 RNAVCARLY 2300ft
KOKC (5mi, 2°) 1339ft
ATREC (12mi, 359°) 5000ft
ATREC (turn)

Holding patterns

STAR namehold attypeturnheading*altitudelegspeed limit
CAMET3ROLLSVHFright270 (90)°DME 10.0miICAO rules
GHOST3RUSTSVHFright264 (84)°DME 10.0miICAO rules
GULLI2GULLIVHFright23 (203)°1.0min timedICAO rules
*) magnetic outbound (inbound) holding course

Disclaimer

The information on this website is not for real aviation. Use this data with the X-Plane flight simulator only! Data taken with kind consent from X-Plane 12 source code and data files. Content is subject to change without notice.