Airports for X-Plane offers a convenient way to explore airports and their related communication information for the X-Plane flight simulator. It only uses data from the X-Plane flight simulator itself, and is therefore more reliable than the data that comes from real aviation websites. You can search for airports by using the ICAO code, or browse for airports per country and state. The information displayed is categorized by airport details, runway information, airport communication, approach frequencies (ILS and Glidepath details), details of nearby beacons, SIDs, STARs and approach procedures.

nation aerodrome concrete airborne air safety international airport propeller plane public transport airbus ferry automated airport weather station airport buildings hangar newark airplane aircraft hospital airport apron frankfurt airport

Amsterdam - Schiphol

Airport details

CountryNetherlands
StateNorth Holland
RegionEH
AirspaceAmsterdam Ctr
MunicipalityHaarlemmermeer
Elevation-11ft (-3m)
TimezoneGMT +1
Coordinates52.30806, 4.76417
Magnetic var
Typeland
Available sinceX-Plane v10.40
ICAO codeEHAM
IATA codeAMS
FAA coden/a

Communication

Schiphol ATIS ARR132.980
Schiphol ATIS Departure122.200
Schiphol Clearance DEL121.975
Schiphol Ground Control121.700
Schiphol Ground Control121.800
Schiphol Ground Control121.900
Schiphol Tower 06/24119.900
Schiphol Tower119.225
Schiphol Tower 18C/36C118.100
Schiphol Approach119.050
Schiphol Departure121.205

Approach frequencies

ILS-cat-IIIRW06110.5518.00mi
ILS-cat-IIIRW36C108.7518.00mi
ILS-cat-IIIRW27111.5518.00mi
ILS-cat-IIIRW18R110.118.00mi
ILS-cat-IIIRW18C109.518.00mi
ILS-cat-IIIRW36R111.9518.00mi
ILS-cat-IRW22109.1518.00mi
3° GSRW18C109.518.00mi
3° GSRW18R110.118.00mi
3° GSRW22109.1518.00mi
3° GSRW36C108.7518.00mi
3° GSRW06110.5518.00mi
3° GSRW27111.5518.00mi
3° GSRW36R111.9518.00mi
Nearby Points of Interest:
Halte Aalsmeer Oost
-
Bridge 514
-
Bridge 518
-
Politiebureautje Sloten
-
Sint-Franciscus van Saleskerk
-
Raadhuis van Aalsmeer
-
Oude Kantongerecht Hoofddorp
-
Hoofdvaartkerk (Hoofddorp)
-
Bridge 530
-
Halte Bovenkerk
-
Hangbrugmaisonettes
-
Sint-Annakerk
-
Bridge 532
-
Bridge 504
-
Office buildings in Amstelveen
-
Bridge 507
-
Bridge 591
-
Bridge 592
-
Piet Römerbrug
-
Verrijzenis van Onze Heer Jezus Christuskerk
-
Telefooncentrale Amsterdam-Slotervaart
-
National Aerospace Laboratory
-
Sloterhof tower
-
Bridge 705
-
Sloterhof

Runway info

Runway 09 / 27  
 length3444m (11299ft)
 bearing88° / 268°
 width45m (148ft)
 surfaceasphalt
 displ threshold89m (292ft) / 0m (0ft)
Runway 18L / 36R  
 length3396m (11142ft)
 bearing185° / 5°
 width45m (148ft)
 surfaceasphalt
 displ threshold574m (1883ft) / 0m (0ft)
Runway 18C / 36C  
 length3299m (10823ft)
 bearing185° / 5°
 width45m (148ft)
 surfaceasphalt
 displ threshold0m (0ft) / 450m (1476ft)
Runway 18R / 36L  
 length3798m (12461ft)
 bearing185° / 5°
 width60m (197ft)
 surfaceasphalt
 displ threshold270m (886ft) / 0m (0ft)
Runway 06 / 24
 length3436m (11273ft)
 bearing69° / 249°
 width45m (148ft)
 surfaceasphalt
 displ threshold250m (820ft) / 0m (0ft)
Runway 04 / 22  
 length2021m (6631ft)
 bearing55° / 235°
 width45m (148ft)
 surfaceasphalt
 blast zone0m (0ft) / 255m (837ft)

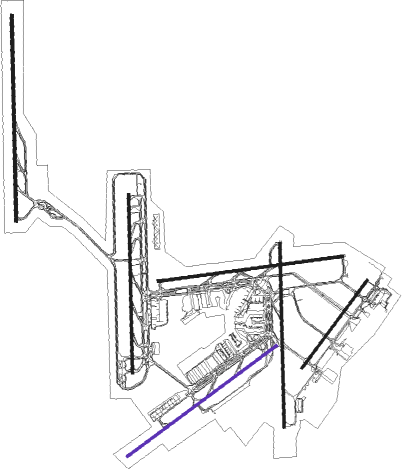
Airport layout - runway 06 / 24


Taxiway locations
Parking locations

Nearby beacons

codeidentifierdistbearingfrequency
SPLSCHIPHOL (AMSTERDAM) VOR/DME1.5329°108.40
AMSDME2.6293°113.95
PAMPAMPUS VOR/DME12.185°117.80
SPYDME14.321°113.30
FRTDME18.2179°117.15
RTMROTTERDAM VOR/DME22.6220°110.40
FRODME28.679°111.40
HDRHELDER DME35.9115.55
GZRGILZE-RIJEN TACAN45167°116.40
VKLVOLKEL TACAN52.4125°108.30
WDTWOENSDRECHT TACAN53.9206°115
EHVEINDHOVEN TACAN56.3145°117.20
LWDLEEUWARDEN TACAN65.647°114.70

Departure and arrival routes

Transition altitude3000ft
SID end pointsdistanceoutbound heading
RW04
 ANDI3F32mi50°
 ARNE3F50mi99°
 REND2F44mi107°
 LOPI2F26mi136°
 KUDA2F56mi204°
 VOLA2F50mi256°
 BERG2F30mi317°
RW06
 ANDI3R, ANDI2T32mi50°
 ARNE3R, ARNE3T50mi99°
 REND2T, REND2R44mi107°
 LOPI2R26mi136°
 KUDA2T, KUDA2R56mi204°
 VOLA2R50mi256°
 BERG3R30mi317°
RW09
 ANDI2N32mi50°
 ARNE3N50mi99°
 REND2N44mi107°
 LOPI2N26mi136°
 KUDA2N56mi204°
 VALK5M, IDRI2N50mi256°
 BERG3N30mi317°
RW18C
 TORG2X, BETU5Y32mi50°
 ELPA3X50mi99°
 EDUP3X44mi107°
 ROVE3X26mi136°
 LARA2X56mi204°
 DENA6X50mi256°
 WISP3X30mi317°
RW18L
 ANDI3E32mi50°
 ARNE4E50mi99°
 REND2E44mi107°
 LOPI4E26mi136°
 KUDA2E56mi204°
 VALK5E50mi256°
 BERG4E30mi317°
RW22
 ANDI3G32mi50°
 ARNE4G50mi99°
 REND2G44mi107°
 LOPI2G26mi136°
 KUDA2G56mi204°
 VALK3G50mi256°
 BERG2G30mi317°
RW24
 AND2SY, ANDI2S, SPY4KY, SPY4K32mi50°
 ARNE3S, ARN3SY50mi99°
 REN2SY, REND2S44mi107°
 LOP3SY, LOPI3S26mi136°
 KUD3SY, KUDA3S56mi204°
 VALK3S50mi256°
 BERG2S30mi317°
RW27
 SPY2P32mi50°
 ARNE3P50mi99°
 REND2P44mi107°
 LOPI2P26mi136°
 KUDA2P56mi204°
 VOLA2P50mi256°
 BERG2P30mi317°
RW36C
 NOPS3W32mi50°
 NYKE5W50mi99°
 IVLU4W44mi107°
 OGIN4W26mi136°
 WOOD3W56mi204°
RW36L
 SPY4V32mi50°
 ARNE2Z, ARNE2V50mi99°
 REND2V, REND2Z44mi107°
 LOPI4V, LOPI2Z26mi136°
 KUDA2V, KUDA2Z56mi204°
 VOLA2Z, VOLA3V50mi256°
 BERG5V, BERG2Z30mi317°

STAR starting pointsdistanceinbound heading
ALL
 HELE2A72.440°
 DENU3A76.346°
 REDF1A84.585°
 LAMS2A69.5103°
 MOLI2A69.1107°
 TOPA2A78.8132°
 EEL1A, EEL1B86.1246°
 NORK2B, NORK2A81.5272°
 RKN2A, RKN2B74.3275°

Instrument approach procedures

runwayairway (heading)route (dist, bearing)
RW04ARTIP (256°)ARTIP
SPL (32mi, 258°)
AM201 (10mi, 174°)
AM202 (4mi, 235°)
AM203 (3mi, 298°)
NELFE (2mi, 346°) 2000ft
RW04RIVER (58°)RIVER
SPL (34mi, 56°)
SPL (turn)
AM201 (10mi, 174°)
AM202 (4mi, 235°)
AM203 (3mi, 298°)
NELFE (2mi, 346°) 2000ft
RW04SUGOL (105°)SUGOL
SPL (31mi, 104°)
AM201 (10mi, 174°)
AM202 (4mi, 235°)
AM203 (3mi, 298°)
NELFE (2mi, 346°) 2000ft
 RNAVNELFE 2000ft
AM204 (3mi, 55°) 2000ft
EHAM (6mi, 47°) 37ft
AM205 (13mi, 59°) 2000ft
RW06ARTIP (256°)ARTIP
SPL (32mi, 258°)
AM101 (4mi, 278°)
AM102 (10mi, 249°)
AM103 (3mi, 134°)
OSRON (2mi, 101°) 2000ft
RW06RIVER (58°)RIVER
SPL (34mi, 56°)
AM101 (4mi, 278°)
AM102 (10mi, 249°)
AM103 (3mi, 134°)
OSRON (2mi, 101°) 2000ft
RW06SUGOL (105°)SUGOL
SPL (31mi, 104°)
SPL (turn)
AM101 (4mi, 278°)
AM102 (10mi, 249°)
AM103 (3mi, 134°)
OSRON (2mi, 101°) 2000ft
 RNAVOSRON 2000ft
AM609 (3mi, 69°) 2000ft
EHAM (8mi, 66°) 39ft
AM104 (6mi, 72°)
AM105 (5mi, 69°) 2000ft
RW09ARTIP (256°)ARTIP
SPL (32mi, 258°)
AM220 (6mi, 299°)
AM221 (7mi, 268°)
AM222 (3mi, 175°)
IFTAZ (2mi, 123°) 2000ft
RW09RIVER (58°)RIVER
SPL (34mi, 56°)
SPL (turn)
AM220 (6mi, 299°)
AM221 (7mi, 268°)
AM222 (3mi, 175°)
IFTAZ (2mi, 123°) 2000ft
RW09SUGOL (105°)SUGOL
SPL (31mi, 104°)
SPL (turn)
AM220 (6mi, 299°)
AM221 (7mi, 268°)
AM222 (3mi, 175°)
IFTAZ (2mi, 123°) 2000ft
 RNAVIFTAZ 2000ft
AM223 (3mi, 88°) 2000ft
EHAM (7mi, 91°) 38ft
AM224 (12mi, 87°) 2000ft
RW18CALINA (179°)ALINA
SIDNI (5mi, 185°) 2000ft
AM630 (3mi, 185°) 2000ft
RW18CART5B (5°)ARTIP
AM601 (28mi, 284°)
AM602 (6mi, 270°)
AM603 (6mi, 270°)
NIRSI (6mi, 180°)
AM607 (5mi, 90°)
AM126 (3mi, 115°) 3400ft
AM128 (3mi, 157°)
AM130 (3mi, 171°)
AM630 (2mi, 155°) 2000ft
RW18CARTIP (256°)ARTIP
SPL (32mi, 258°)
SPL (turn)
AM120 (6mi, 61°)
AM121 (6mi, 6°)
AM122 (3mi, 272°)
SIDNI (2mi, 246°) 2000ft
AM630 (3mi, 185°) 2000ft
RW18CNIR2D (5°)NIRSI
AM607 (5mi, 90°)
AM126 (3mi, 115°) 3400ft
AM128 (3mi, 157°)
AM130 (3mi, 171°)
AM630 (2mi, 155°) 2000ft
RW18CRIV5B (5°)RIVER
AM605 (9mi, 354°)
NIRSI (34mi, 38°)
AM607 (5mi, 90°)
AM126 (3mi, 115°) 3400ft
AM128 (3mi, 157°)
AM130 (3mi, 171°)
AM630 (2mi, 155°) 2000ft
RW18CRIVER (58°)RIVER
SPL (34mi, 56°)
AM120 (6mi, 61°)
AM121 (6mi, 6°)
AM122 (3mi, 272°)
SIDNI (2mi, 246°) 2000ft
AM630 (3mi, 185°) 2000ft
RW18CSUG5B (5°)SUGOL
AM606 (17mi, 104°)
NIRSI (11mi, 38°)
AM607 (5mi, 90°)
AM126 (3mi, 115°) 3400ft
AM128 (3mi, 157°)
AM130 (3mi, 171°)
AM630 (2mi, 155°) 2000ft
RW18CSUGOL (105°)SUGOL
SPL (31mi, 104°)
AM120 (6mi, 61°)
AM121 (6mi, 6°)
AM122 (3mi, 272°)
SIDNI (2mi, 246°) 2000ft
AM630 (3mi, 185°) 2000ft
 RNAVAM630 2000ft
EHAM (8mi, 173°) 38ft
AM123 (12mi, 193°) 2000ft
RW18RART5B (5°)ARTIP
AM601 (28mi, 284°)
AM602 (6mi, 270°)
AM603 (6mi, 270°)
NIRSI (6mi, 180°)
AM607 (5mi, 90°)
AM133 (3mi, 119°) 3400ft
AM135 (3mi, 160°)
AM137 (turn)
AM621 (1mi, 185°) 2000ft
RW18RARTIP (256°)ARTIP
SPL (32mi, 258°)
AM240 (9mi, 304°)
AM241 (6mi, 5°)
AM242 (3mi, 92°)
PEVOS (2mi, 120°) 2000ft
AM621 (3mi, 185°) 2000ft
RW18RDIBRU (173°)DIBRU
PEVOS (4mi, 185°) 2000ft
AM621 (3mi, 185°) 2000ft
RW18RNIR1R (5°)NIRSI
AM607 (5mi, 90°)
AM133 (3mi, 119°) 3400ft
AM135 (3mi, 160°)
AM137 (turn)
AM621 (1mi, 185°) 2000ft
RW18RRIV5B (5°)RIVER
AM605 (9mi, 354°)
NIRSI (34mi, 38°)
AM607 (5mi, 90°)
AM133 (3mi, 119°) 3400ft
AM135 (3mi, 160°)
AM137 (turn)
AM621 (1mi, 185°) 2000ft
RW18RRIVER (58°)RIVER
SPL (34mi, 56°)
AM240 (9mi, 304°)
AM241 (6mi, 5°)
AM242 (3mi, 92°)
PEVOS (2mi, 120°) 2000ft
AM621 (3mi, 185°) 2000ft
RW18RSUG5B (5°)SUGOL
AM606 (17mi, 104°)
NIRSI (11mi, 38°)
AM607 (5mi, 90°)
AM133 (3mi, 119°) 3400ft
AM135 (3mi, 160°)
AM137 (turn)
AM621 (1mi, 185°) 2000ft
RW18RSUGOL (105°)SUGOL
SPL (31mi, 104°)
SPL (turn)
AM240 (9mi, 304°)
AM241 (6mi, 5°)
AM242 (3mi, 92°)
PEVOS (2mi, 120°) 2000ft
AM621 (3mi, 185°) 2000ft
 RNAVAM621 2000ft
EHAM (9mi, 164°) 37ft
EHAM (turn) 500ft
AM624 (8mi, 282°) 2000ft
AM624 (turn) 2000ft
RW22AGOGO (217°)AGOGO 3000ft
AM671 (3mi, 114°)
BLUSY (2mi, 174°) 2000ft
RW22AMEGA (253°)AMEGA 3000ft
AM672 (3mi, 289°)
BLUSY (2mi, 268°) 2000ft
RW22ARTIP (256°)ARTIP
SPL (32mi, 258°)
SPL (turn)
PAM (13mi, 90°)
AMEGA (5mi, 7°) 3000ft
AM672 (3mi, 289°)
BLUSY (2mi, 268°) 2000ft
RW22RIVER (58°)RIVER
SPL (34mi, 56°)
PAM (13mi, 90°)
AMEGA (5mi, 7°) 3000ft
AM672 (3mi, 289°)
BLUSY (2mi, 268°) 2000ft
RW22SUGOL (105°)SUGOL
SPL (31mi, 104°)
PAM (13mi, 90°)
AMEGA (5mi, 7°) 3000ft
AM672 (3mi, 289°)
BLUSY (2mi, 268°) 2000ft
 RNAVBLUSY 2000ft
AM661 (4mi, 235°) 2000ft
EHAM (7mi, 241°) 36ft
(3151mi, 185°) 400ft
AM675 (3141mi, 5°) 2000ft
RW24ARTIP (256°)ARTIP
SPL (32mi, 258°)
AM140 (4mi, 21°)
AM141 (8mi, 69°)
AM142 (3mi, 134°)
ARWIN (2mi, 193°) 2000ft
RW24RIVER (58°)RIVER
SPL (34mi, 56°)
AM140 (4mi, 21°)
AM141 (8mi, 69°)
AM142 (3mi, 134°)
ARWIN (2mi, 193°) 2000ft
RW24SUGOL (105°)SUGOL
SPL (31mi, 104°)
AM140 (4mi, 21°)
AM141 (8mi, 69°)
AM142 (3mi, 134°)
ARWIN (2mi, 193°) 2000ft
 RNAVARWIN 2000ft
AM143 (3mi, 249°) 2000ft
EHAM (6mi, 252°) 38ft
AM144 (13mi, 247°) 2000ft
RW27ARTIP (256°)ARTIP
SPL (32mi, 258°)
SPL (turn)
AM260 (6mi, 56°)
AM261 (8mi, 88°)
AM262 (3mi, 175°)
TIDVO (2mi, 231°) 2000ft
RW27RIVER (58°)RIVER
SPL (34mi, 56°)
AM260 (6mi, 56°)
AM261 (8mi, 88°)
AM262 (3mi, 175°)
TIDVO (2mi, 231°) 2000ft
RW27SUGOL (105°)SUGOL
SPL (31mi, 104°)
AM260 (6mi, 56°)
AM261 (8mi, 88°)
AM262 (3mi, 175°)
TIDVO (2mi, 231°) 2000ft
 RNAVTIDVO 2000ft
AM639 (3mi, 268°) 2000ft
EHAM (7mi, 265°) 38ft
AM263 (18mi, 269°) 3000ft
RW36CARTIP (256°)ARTIP
SPL (32mi, 258°)
AM280 (8mi, 241°)
AM281 (7mi, 185°)
AM282 (3mi, 92°)
OLGAX (2mi, 65°) 2000ft
RW36CBOVCO (10°)BOVCO
OLGAX (8mi, 5°) 2000ft
RW36CRIVER (58°)RIVER
SPL (34mi, 56°)
SPL (turn)
AM280 (8mi, 241°)
AM281 (7mi, 185°)
AM282 (3mi, 92°)
OLGAX (2mi, 65°) 2000ft
RW36CSUGOL (105°)SUGOL
SPL (31mi, 104°)
AM280 (8mi, 241°)
AM281 (7mi, 185°)
AM282 (3mi, 92°)
OLGAX (2mi, 65°) 2000ft
 RNAVOLGAX 2000ft
AM632 (3mi, 5°) 2000ft
EHAM (6mi, 19°) 38ft
AM283 (13mi, 358°) 2000ft
RW36RARTIP (256°)ARTIP
SPL (32mi, 258°)
AM160 (9mi, 125°)
AM161 (7mi, 185°)
AM162 (3mi, 272°)
NEWCO (2mi, 300°) 2000ft
RW36RKAROF (2°)KAROF
NEWCO (8mi, 5°) 2000ft
RW36RRIVER (58°)RIVER
SPL (34mi, 56°)
AM160 (9mi, 125°)
AM161 (7mi, 185°)
AM162 (3mi, 272°)
NEWCO (2mi, 300°) 2000ft
RW36RSUGOL (105°)SUGOL
SPL (31mi, 104°)
AM160 (9mi, 125°)
AM161 (7mi, 185°)
AM162 (3mi, 272°)
NEWCO (2mi, 300°) 2000ft
 RNAVNEWCO 2000ft
AM636 (3mi, 5°) 2000ft
EHAM (7mi, 358°) 39ft
AM637 (4mi, 18°) 1500ft
AM163 (8mi, 5°) 2000ft

Holding patterns

STAR namehold attypeturnheading*altitudelegspeed limit
DENU3ARIVERVHFright221 (41)°> 7000ft1.0min timed250
EEL1AARTIPVHFright72 (252)°> 7000ft1.0min timed250
EEL1BARTIPVHFright72 (252)°> 7000ft1.0min timed250
EEL1BNARSOVHFleft175 (355)°> 20000ft1.0min timed220
HELE2ARIVERVHFright221 (41)°> 7000ft1.0min timed250
LAMS2ASUGOLVHFright290 (110)°> 7000ft1.0min timed250
MOLI2ASUGOLVHFright290 (110)°> 7000ft1.0min timed250
NORK2AARTIPVHFright72 (252)°> 7000ft1.0min timed250
NORK2BARTIPVHFright72 (252)°> 7000ft1.0min timed250
NORK2BNARSOVHFleft175 (355)°> 20000ft1.0min timed220
PESE3ARIVERVHFright221 (41)°> 7000ft1.0min timed250
REDF1ASUGOLVHFright290 (110)°> 7000ft1.0min timed250
RKN2AARTIPVHFright72 (252)°> 7000ft1.0min timed250
RKN2BARTIPVHFright72 (252)°> 7000ft1.0min timed250
RKN2BNARSOVHFleft175 (355)°> 20000ft1.0min timed220
TOPA2ASUGOLVHFright290 (110)°> 7000ft1.0min timed250
*) magnetic outbound (inbound) holding course

Disclaimer

The information on this website is not for real aviation. Use this data with the X-Plane flight simulator only! Data taken with kind consent from X-Plane 12 source code and data files. Content is subject to change without notice.